2017 Western Australia – Day 10 – Coral Bay / Ningaloo Reef


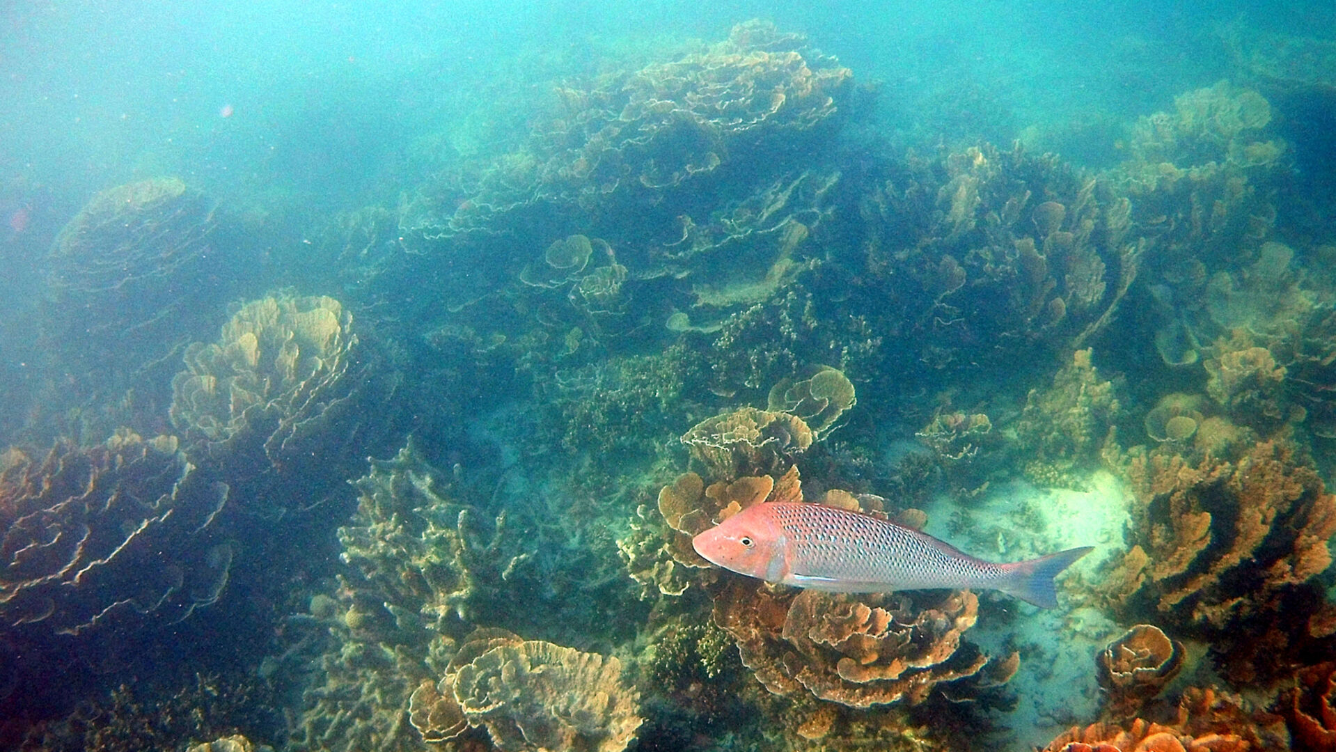
The Ningaloo Reef is one of the most unique and beautiful natural wonders of Western Australia. This 260-kilometer-long coral reef system is located on the coastline of the Mid West region of Western Australia, and is considered to be one of the largest fringing reefs in the world. The reef is home to a diverse array of marine life, including over 500 species of fish, 250 species of coral, and many different types of marine mammals, such as whale sharks, manta rays, and sea turtles.

The Ningaloo Reef is a popular destination for snorkeling and diving, as it offers visitors the opportunity to explore the coral and marine life up close. Visitors can take part in guided snorkeling and diving tours, which provide an introduction to the coral reef and the various marine species that call it home. The reef is also known for its seasonal population of whale sharks, which can be seen between March and August, making it a popular destination for swimming with these gentle giants.

The Ningaloo Reef is also home to a variety of other marine life, such as dugongs, dolphins, and Humpback whales, which can be seen during the migration season. Visitors can also take part in fishing, swimming, and other water activities, such as kayaking and stand-up paddleboarding.

The reef is also home to several marine conservation efforts, aimed at protecting the coral reef and marine life. The Ningaloo Marine Park, which covers the entire reef system, is managed by the Western Australian government to protect the reef and the marine life that call it home. The park also offers visitors the opportunity to learn about the conservation efforts and how they can help protect the reef.

The best time to visit the Ningaloo Reef is during the spring and early summer, when the weather is mild and the marine life is more active. Visitors can experience the beautiful coral reef, the crystal clear waters, and the diverse marine life of the Ningaloo Reef. The town of Exmouth and Coral Bay are the main access point to the reef, and offer a variety of accommodation options, from camping to luxury resorts, making it a great destination for a weekend getaway or a longer vacation.

The Ningaloo Reef is a 260-kilometer-long coral reef system located on the coastline of the Mid West region of Western Australia, known for its stunning coral reefs, crystal clear waters, and diverse array of marine life. The reef is a popular destination for snorkeling, diving, swimming with whale sharks, and other water activities. The reef is also home to several marine conservation efforts, making it a great destination for nature lovers, marine life enthusiasts, and anyone looking for a unique and natural experience. Visitors can experience the beautiful coral reef, the crystal clear waters, and the diverse marine life of the Ningaloo Reef.