Exmouth, a town located in Western Australia, is the gateway to the Ningaloo Reef, one of the world’s largest fringing reefs. This coastal town is known for its stunning beaches, crystal clear waters, and diverse marine life, making it a popular destination for tourists and nature lovers alike.
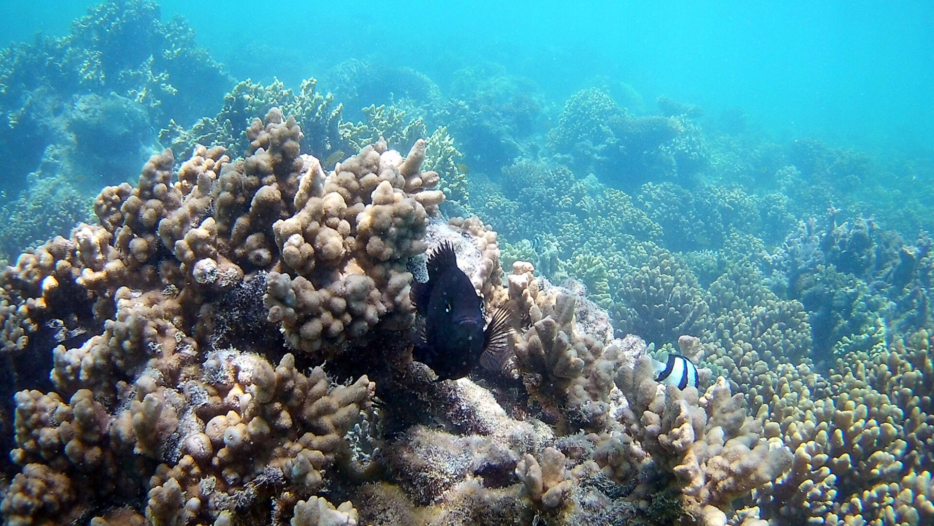
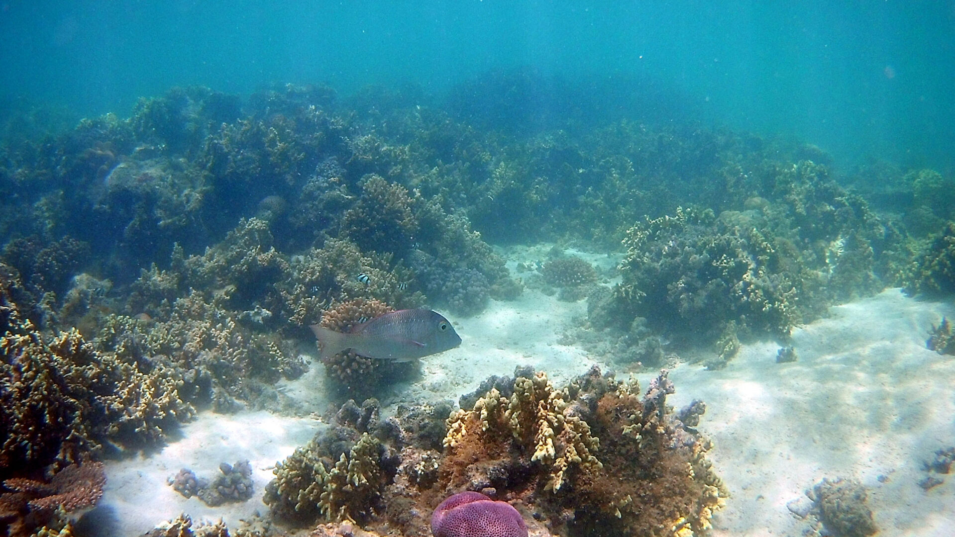
Exmouth is located in the Mid West region of Western Australia, and is the main access point to the Ningaloo Reef. Visitors can take part in guided snorkeling and diving tours, which provide an introduction to the coral reef and the various marine species that call it home. The reef is also known for its seasonal population of whale sharks, which can be seen between March and August, making it a popular destination for swimming with these gentle giants.
Exmouth is also home to the Cape Range National Park, which offers visitors the opportunity to explore the unique desert landscape and the diverse wildlife that call it home. Visitors can take part in guided tours, hiking, and camping in the park, and can also see the unique red rock formations and canyons.
The town of Exmouth also offers a variety of accommodation options, from camping to luxury resorts, making it a great destination for a weekend getaway or a longer vacation. Visitors can enjoy the local seafood and other regional specialties at the restaurants and cafes in Exmouth. The town also has a variety of activities to offer, such as swimming, fishing, and kayaking, as well as shopping and nightlife.
Exmouth is also home to several marine conservation efforts, aimed at protecting the coral reef and marine life. The Ningaloo Marine Park, which covers the entire reef system, is managed by the Western Australian government to protect the reef and the marine life that call it home. The park also offers visitors the opportunity to learn about the conservation efforts and how they can help protect the reef.
Exmouth is a coastal town located in Western Australia, known for its stunning beaches, crystal clear waters, and diverse marine life. It is the main access point to the Ningaloo Reef and the Cape Range National Park, making it a popular destination for nature lovers and marine life enthusiasts. Visitors can experience the beautiful coral reef, the crystal clear waters, and the diverse marine life of the Ningaloo Reef, and also enjoy the local seafood and other regional specialties. Exmouth also offers a variety of activities to offer, such as swimming, fishing, and kayaking, as well as shopping and nightlife.

